Aéroport international d'Albany
L'aéroport international d'Albany (code IATA : ALB • code OACI : KALB • code FAA : ALB) dessert la ville d'Albany dans l'État de New York, aux États-Unis. C’est un aéroport public géré par l’Albany County Airport Authority[1].
| Aéroport international d'Albany Albany International airport | |||||||||||||
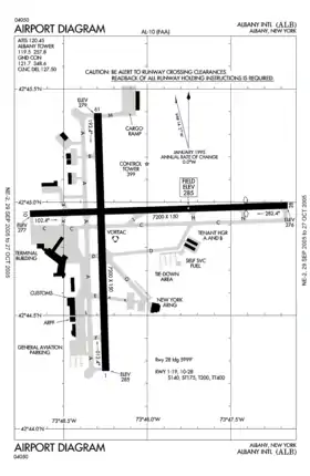
Schéma des pistes de l'aéroport | |||||||||||||
| Localisation | |||||||||||||
|---|---|---|---|---|---|---|---|---|---|---|---|---|---|
| Pays | |||||||||||||
| Ville | Albany | ||||||||||||
| Date d'ouverture | 1908 | ||||||||||||
| Coordonnées | 42° 44′ 57″ nord, 73° 48′ 07″ ouest | ||||||||||||
| Altitude | 87 m (285 ft) | ||||||||||||
| Informations aéronautiques | |||||||||||||
| Code IATA | ALB | ||||||||||||
| Code OACI | KALB | ||||||||||||
| Code FAA | ALB | ||||||||||||
| Type d'aéroport | public | ||||||||||||
| Gestionnaire | Albany County Airport Authority | ||||||||||||
| Site web aéroport | Consulter | ||||||||||||
|
|||||||||||||
| Géolocalisation sur la carte : États-Unis
Géolocalisation sur la carte : New York (État)
| |||||||||||||
Confusions possibles
- Albany (Australie-Occidentale) (en) dans Albany, Australie-Occidentale
- Albany Municipal Airport (Oregon) dans Albany (Oregon), États-Unis (FAA: S12)
- Albany Municipal Airport (Missouri) dans Albany (Missouri), États-Unis (FAA: K19)
- Albany Municipal Airport (Texas) dans Albany (Texas), États-Unis (FAA: T23)
Situation
L’aéroport est situé à Colonie, à une dizaine de kilomètres au nord du centre d’Alabamy, au centre de l’état de New-York dont elle est la capitale. Il est desservi par l’Interstate 87.
Histoire
Un premier aéroport est créé en 1908, sur un ancien terrain de polo. Celui-ci est déménagé en 1909 sur le site de Castle Island. Puis en 1928 un nouvel aéroport est construit à Colonie, New York, à proximité du site de 1908.
Installations
L’aéroport est équipé de deux pistes en asphalte, orientées nord/sud et est/ouest[1] :
- 01/09, longue de 2 591 m et large de 46 m.
- 10/28, longue de 2 195 m et large de 46 m.
Compagnies et destinations
Édité le 23/03/2019
Incident et accidents
Depuis sa création l’aéroport a été le théâtre de deux accidents.
Le le vol 763 de l’American Airlines, un Convair 240 assurant la liaison Boston-Buffalo avec de nombreuses escales (Springfield, Alabany, Syracuse, Rochester, Buffalo et Detroit), s’est écrasé à l’atterrissage. Les vingt-huit personnes à bord, vingt-cinq passagers et trois membres d’équipages, sont morts dans l’accident[7].
Le le vol 405 de la Mohawk Airlines, un Fairchild FH-227 assurant la liaison New-York - Alabany c’est écrasé sur une habitation à environ cinq kilomètres au sud de l’aéroport pendant qu’il était en phase d’approche sur la piste 01. Le crash fait dix-sept victimes : seize des quarante-huit personnes à bord et une personne au sol[8].
Notes et références
- (en) « AirportIQ 5010: ALBANY INTL », sur gcr1.com, (consulté le )
- https://www.facebook.com/AlbanyAirport/photos/a.134076163337303/2037604836317750
- « Archived copy » [archive du ] (consulté le )
- « Frontier Airlines coming to Albany International Airport » [archive du ], (consulté le )
- « Now Packing Up For Winter: janvier and février 2019 Schedules Now Available! » (consulté le )
- « Southwest reprend le Albany to Las Vegas flights » [archive du ] (consulté le )
- (en) « ASN Aircraft accident Convair CV-240-0 N94255 Albany Airport, NY (ALB) », sur aviation-safety.net (consulté le )
- (en) « ASN Aircraft accident Fairchild FH-227B N7818M Albany Airport, NY (ALB) », sur aviation-safety.net (consulté le )
- Portail de l’aéronautique
- Portail des États-Unis

_location_map.svg.png.webp)
