Rue Saint-François-Xavier
La rue Saint-François-Xavier est une voie de Montréal.
Cette rue, d'axe nord-sud, du Vieux-Montréal relie la rue de la Commune à la rue Saint-Antoine.
Origine du nom
Elle rend honneur à Saint-François-Xavier (1506-1552) missionnaire jésuite mort en Chine.
Historique
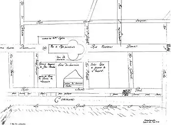
La rue Saint-François-Xavier fait partie des premières rues de Ville-Marie. On la retrouve, sous le nom de « rue Saint-François », sur le plan dressé par François Dollier de Casson en 1672.
En 1678, suivant son plan d'aménagement de 1672, il ouvre une rue entre la petite rivière Saint-Pierre (place d'Youville actuelle) et la rue Notre-Dame.
François Dollier de Casson avait nommé la rue en l'honneur de son saint patron, Saint-François, mais François de Montmorency-Laval, évêque de Québec demandera par la suite que la rue soit renommée en « rue Saint-François-Xavier ».
En 1683, la rue est prolongée jusqu'à la rue Saint-Jacques.
Lors de la démolition des fortifications au début du XIXe siècle, la rue est prolongée jusqu'à la rue Saint-Antoine vers le nord.
Bâtiments remarquables et lieux de mémoire

Plan de Ville-Marie de 1672 
Références
- Au Québec, par convention, on entend par orientation est/ouest ce qui est parallèle au fleuve Saint-Laurent, même si, en réalité, le fleuve coule du sud-ouest vers le nord-est.
Source
Ville de Montréal, Les rues de Montréal. Répertoire historique, Édition Méridien, Montréal, 1995, p. 432
- Portail de la Nouvelle-France
- Portail de Montréal
- Portail de la route